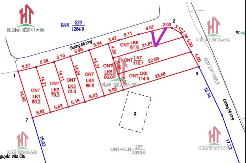
Bán Lô Góc 2 Mặt Tiền Đường Ô Tô Tránh Ngay Gần Trung Tâm Xã Cao Dương Giá Chỉ Vài Trăm Triệu
Cao Dương, Lương Sơn
Tin khác

Lương Sơn
Tây 797

Lương Sơn
Tây 811

Lương Sơn
Bắc 409

Lương Sơn
Đ.Nam 429

Lương Sơn
Đ.Nam 432

Lương Sơn
Đông 439

Lương Sơn
Đông 469

Lương Sơn
Đông 437

Lương Sơn
Đông 826

Lương Sơn
Nam 441

Lương Sơn
Đông 825

Lương Sơn
Bắc 427

Lương Sơn
Tây 429

Lương Sơn
Bắc 424

Lương Sơn
Bắc 440

Lương Sơn
Đông 831

Lương Sơn
Bắc 837

Lương Sơn
Q.Lộ Tây 434

Lương Sơn
Nam 1621

Lương Sơn
Nam 2390

Lương Sơn
Nam 1663

Lương Sơn
Nam 1604

Lương Sơn
Đông 442

Lương Sơn
Tây 1248