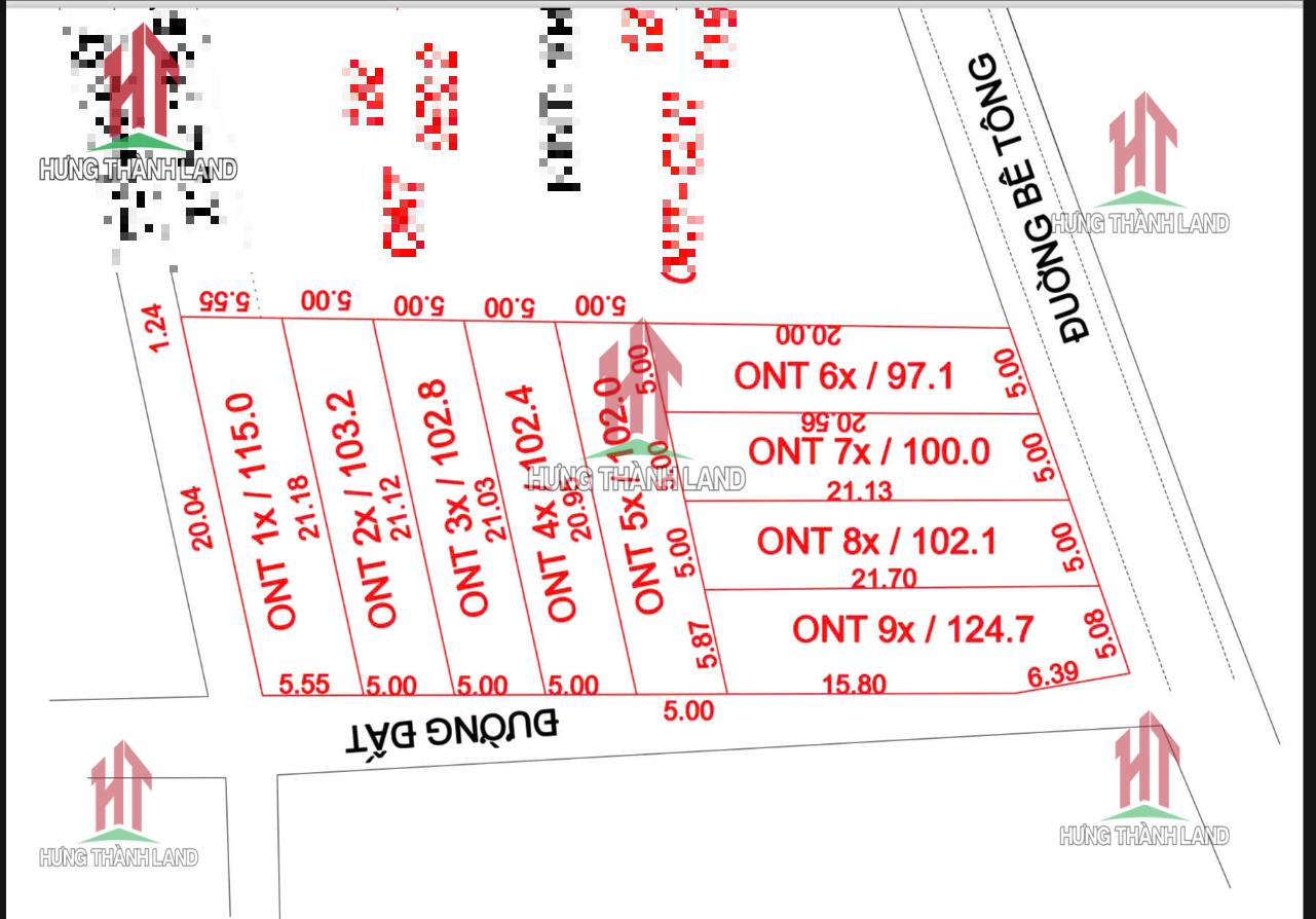
Bán Lô Đất 124m Lô Góc 2 Mặt Tiền Tại Đa Phúc Yên Thủy Giá Vài Trăm Triệu
Đa Phúc, Yên Thủy
Tin khác

Yên Thủy
Tây 805

Yên Thủy
Nam 421

Yên Thủy
Nam 832

Yên Thủy
Nam 473

Yên Thủy
Nam 449

Yên Thủy
Nam 440

Yên Thủy
Bắc 827

Yên Thủy
Đông 867

Yên Thủy
Nam 431

Yên Thủy
Nam 871

Yên Thủy
Nam 839

Yên Thủy
Đông 439

Yên Thủy
Bắc 449

Yên Thủy
Đông 456

Yên Thủy
Tây 447

Yên Thủy
Bắc 428

Yên Thủy
Tây 451

Yên Thủy
Đông 463

Yên Thủy
Nam 485

Yên Thủy
Nam 1266

Yên Thủy
Nam 500

Yên Thủy
Nam 881

Yên Thủy
Tây 490

Yên Thủy
Nam 514